Het terrein bouwrijp maken
De uitbreiding van een fabrieksterrein vereist gedetailleerde en nauwkeurige maatvoering. Dit geldt ook voor afvalverwerkingsbedrijf EEW Energy from Waste Delfzijl B.V. gevestigd in Farmsum. Daarom heeft Geomaat in opdracht van aannemers KWS en BAM de maatvoering voor de ondergrondse infrastructuur en de terreininrichting de afgelopen twee jaar verzorgd.
We zijn deze klus in augustus 2023 in opdracht van KWS gestart om op verschillende momenten as-built (revisietekeningen) van de bestaande en nieuwe ondergrondse infrastructuur in kaart te brengen.
Hierbij maakten we alle onderdelen van de ondergrondse infra inzichtelijk die nodig zijn voor het functioneren van toekomstig gebruik van de nieuwe gebouwen op het terrein.
Denk in dit geval bijvoorbeeld aan middenspanningselektriciteitstracés, hemelwaterrioleringen voor de gebouwen, vuilwaterrioleringen en een pompkelder voor het hemelwaterafvoer. Daarnaast maakten we revisies voor een speciale Alligator Bagtank. Dit is een soort opvang van hemelwater in de grond.

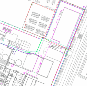
Op de afbeelding hierboven zie je verschillende kabels en leidingen liggen.
Vanaf september 2024 hebben we voor BAM de maatvoering verzorgd voor het aanpassen van de inritten, toegangswegen en de terreininrichting voor de nieuwe fabrieksgebouwen die op het terrein worden gebouwd.
Bij de aanleg van een nieuwe weg is het belangrijk dat de exacte locatie nauwkeurig wordt uitgezet. Vaak wordt dit gedaan door een zand- en een puinbaan te plaatsen. Vervolgens wordt de weg precies ingericht aan de hand van het gemaakte ontwerp. Voor de nieuwe terreininrichting, inritten en toegangswegen hebben we bovendien gedurende de werkzaamheden ook as-built revisietekeningen gemaakt met daarin de infra zoals kant verhardingen, mantelbuizen, molgoten, kolken voor de hemelwaterriolering en lichtmasten voor de openbare verlichting.

Op de afbeelding hierboven zie je in het roze de kant verhardingen, in het groen, mantelbuizen en in het rood OV-kabels.
Het fabrieksterrein hebben we voor KWS en BAM ingemeten met traditionele meetmethoden, zoals met GPS en Total Station. Al deze metingen vormen de basis voor de maatvoering zoals het aanleggen van de wegen, de ondergrondse infrastructuur en de verdere bouw voor de uitbreiding.
De uitbreiding gebeurt in delen en wij brengen steeds een gedeelte in kaart. Vooruitkijkend scannen we in de komende fase van dit project het terrein voor de laatste as-built revisies. We meten hiervoor de XYZ-coördinaten van ondergrondse objecten en infrastructuur en zorgen dat een up-to-date overzicht in uitstekende staat naar de opdrachtgevers gaan. Zo zijn de gegevens makkelijk in te zien voor toekomstige vernieuwingen of aanpassingen van het terrein.
Dit project laat zien hoe belangrijk nauwkeurige maatvoering in de bouwsector is. Het meten van inritten, toegangswegen en de ondergrondse infra vereist technische expertise, zorgvuldigheid en oog voor detail. Dankzij de inzet van onze geavanceerde meetapparatuur zorgen we ervoor dat het project op schema blijft en voldoet aan hoge kwaliteit.
Goede maatvoering is de basis voor elk project. Benieuwd naar hoe we uw gebouwuitbreiding kunnen ondersteunen met onze oplossingen?
Neem contact op!
